Save
Ask
Tour
Hide
$1,480,000
66 Days On Site
13711 SE SUNNYSIDE RDClackamas, OR 97015
For Sale|Single Family Residence|Active
0
Beds
0
Total Baths
County:
Clackamas
Listing courtesy of Jin Zhao of Kelly Right Real Estate of Portland, LLC (503) 544-6728
Due to the health concerns created by Coronavirus we are offering personal 1-1 online video walkthough tours where possible.
Call Now: 503-334-1515
Is this the listing for you? We can help make it yours.
503-334-1515



Save
Ask
Tour
Hide
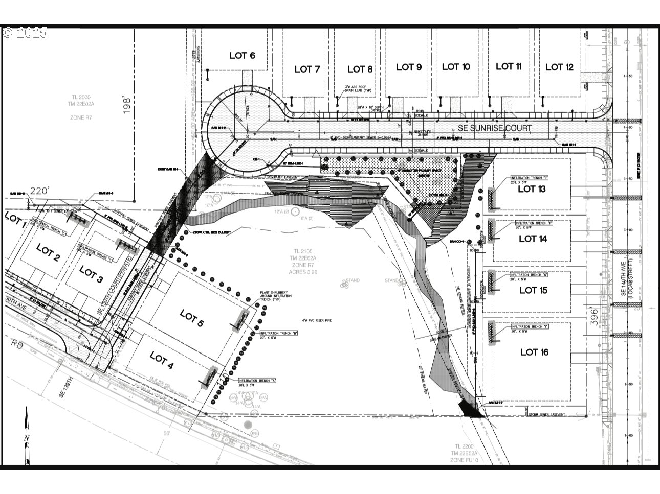
3.99 acers of land just right on Sunnyside Rd of Happy Valley. This a rare opportunity for investors, builders or developers to own a dividable land in the heart of Happy Valley. Land could be divided into 16 lots. Land division is being processing with city of Happy Valley. Close to Shopping center, Happy Valley library, Food carts and restaurants.
Save
Ask
Tour
Hide
Listing Snapshot
Price
$1,480,000
Days On Site
66 Days
Bedrooms
N/A
Inside Area (SqFt)
N/A
Total Baths
N/A
Full Baths
N/A
Partial Baths
N/A
Lot Size
3.99 Acres
Year Built
N/A
MLS® Number
732457061
Status
Active
Property Tax
$3,708.3
HOA/Condo/Coop Fees
N/A
Sq Ft Source
N/A
Friends & Family
Recent Activity
| 6 days ago | Listing updated with changes from the MLS® | |
| 6 days ago | Status changed to Active | |
| 4 weeks ago | Price changed to $1,480,000 | |
| 2 months ago | Listing first seen on site |
General Features
Acres
3.99
Disclosures
Disclosure
Land Lease
No
Property Sub Type
Single Family Residence
Utilities
None
Zoning
R
Save
Ask
Tour
Hide
Community Features
Financing Terms Available
CashConventional
MLS Area
_145
Roads
Paved
Schools
School District
Unknown
Elementary School
Spring Mountain
Middle School
Rock Creek
High School
Clackamas
Listing courtesy of Jin Zhao of Kelly Right Real Estate of Portland, LLC (503) 544-6728
The content relating to real estate for sale on this website comes in part from the IDX program of the RMLS™ of Portland, Oregon. Real estate listings held by brokerage firms other than are marked with the RMLS™ logo, and detailed information about these properties includes the names of the listing brokers. Listing content is Copyright © 2026 RMLS™, Portland, Oregon. Some properties which appear for sale on this website may subsequently have sold or may no longer be available.
Last checked 2026-01-10 12:57 AM PST.
All information provided is deemed reliable but is not guaranteed and should be independently verified
The content relating to real estate for sale on this website comes in part from the IDX program of the RMLS™ of Portland, Oregon. Real estate listings held by brokerage firms other than are marked with the RMLS™ logo, and detailed information about these properties includes the names of the listing brokers. Listing content is Copyright © 2026 RMLS™, Portland, Oregon. Some properties which appear for sale on this website may subsequently have sold or may no longer be available.
Last checked 2026-01-10 12:57 AM PST.
All information provided is deemed reliable but is not guaranteed and should be independently verified
Neighborhood & Commute
Source: Walkscore
Save
Ask
Tour
Hide


Did you know? You can invite friends and family to your search. They can join your search, rate and discuss listings with you.